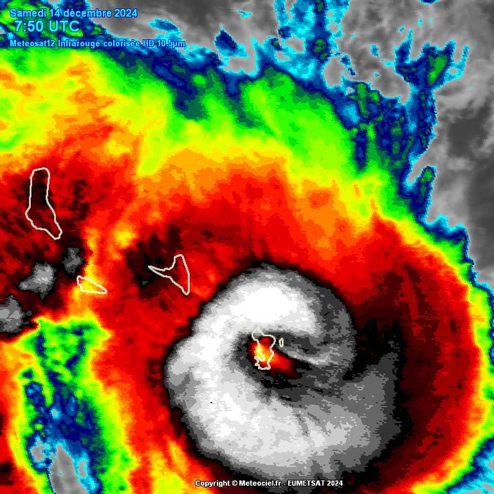
on 14 décembre 2024 at 18h25 Moments de panique en direct : il est 10h24 samedi matin à Mayotte. Plusieurs vitres du studio de Mayotte La 1ère explosent. Les journalistes de la chaîne doivent interrompe le direct. #Chido souffle alors jusqu’à 226 km/h sur le territoire français.Watch video on Facebook.com
Météo Republié via Innoreader Read More Moments de panique en direct : il est 10h24 samedi matin à Mayotte. Plusieurs vitres du studio de Mayotte […]



